보이면 무조건 가져 오세요… 도깨비 꼬리를 닮은 '한국 식물'

실시간 키워드

2022.08.01 00:00 기준

보이면 무조건 가져 오세요… 도깨비 꼬리를 닮은 '한국 식물'

위키푸디 2025-06-10 20:55:00 신고

3줄요약
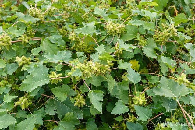
도꼬마리가 옷이 붙은 모습. / Vladimir Konstantinov-shutterstock.com
도꼬마리가 옷이 붙은 모습. / Vladimir Konstantinov-shutterstock.com

한여름 문턱에서 벌써부터 콧물이 흐르기 시작한다면 알레르기 비염을 의심해볼 수 있다. 특히 초여름은 송홧가루가 기승을 부리는 시기로, 코와의 전쟁이 본격적으로 시작되는 때다. 코는 외부 이물질을 걸러내는 첫 관문이지만, 꽃가루나 초미세먼지 앞에서는 쉽게 무력해진다. 이맘때면 주목받는 식물이 있다. 시골 산길을 걷다 보면 옷에 찰싹 달라붙는 그 풀, 도꼬마리다. 민간에서는 '도깨비 꼬리'라 불리며, 한방에서는 ‘창이자’라는 이름으로 기록돼 있다. 창이자는 도꼬마리 열매를 건조해 만든 한약 재료다.

창이자는 오랜 세월 비염, 콧물, 재채기 등 코 관련 증상 완화에 활용돼 왔다. 중국 송나라 의서인 『엄씨제생방』에는 냄새를 맡지 못하고 코가 막히는 증상에 창이자를 썼다는 기록이 있으며, 조선시대 『향약집성방』에도 '도고체이'라는 이름으로 등장해 콧물과 재채기를 반복하는 상한 증상과 구분된 처방이 소개돼 있다. 숙종 시절 이이명이 왕에게 병세를 묻자, "콧물과 재채기가 항상 반복된다"는 답이 돌아왔다는 일화도 전해지는데, 이는 지금의 알레르기성 비염에 해당하는 사례로 해석된다.

알레르기 비염은 맑은 콧물, 재채기, 가려움증이 주요 증상이다. 특히 꽃가루가 많은 시기에는 증상이 더욱 심해지기 쉽다. 사찰 주변에 소나무가 많은 탓에 송홧가루로 고생하는 승려들도 적지 않다. 실제로 부처님오신날 무렵이면 콧물이 심해져 독송이 어려워진다는 말이 있을 정도다. 이처럼 비염이 심해지는 시기에, 코를 시원하게 만들어주는 식물로 민간에서는 창이자가 오랫동안 활용돼 왔다.

도깨비 꼬리 닮은 열매… 찍찍이 개발에 영감 준 식물

도꼬마리 자료사진. / Uunal-shutterstock.com
도꼬마리 자료사진. / Uunal-shutterstock.com

도꼬마리 열매는 뾰족한 가시가 사방으로 나 있으며, 이 가시는 끝이 갈고리처럼 휘어 있다. 이 덕분에 옷이나 동물 털에 단단히 달라붙는다. 누군가의 몸에 붙어 멀리까지 퍼질 수 있는 구조다. 바로 이 형태에서 영감을 받아 만들어진 것이 찍찍이 테이프다. 1947년, 스위스의 전기기술자 조르주 드 메스트랄은 사냥 중 옷에 붙은 도꼬마리를 관찰하다가 그 갈고리 모양에 착안해 찍찍이 원리를 고안해냈다.

도꼬마리는 어린 시절 장난감처럼 옷에 달라붙던 식물로 기억되기도 하지만, 실제로는 약재로서의 유서가 깊다. 열매의 생김새가 독특해 도깨비 꼬리에 붙는 모양과 비슷하다고 알려지면서 ‘도꼬마리’라는 이름이 생겼다는 민간설도 있다. 도깨비가 코막힘으로 고통받다 이 열매를 먹고 효과를 보았고, 기뻐서 도깨비 꼬리에 자주 붙는다는 의미로 이름이 붙었다는 이야기도 전해진다.

외형이 비슷한 식물로는 도깨비바늘이 있다. 둘 다 가시 형태의 열매가 있어 옷에 잘 달라붙지만, 식물학적으로는 전혀 다른 종이다. 도깨비바늘은 '한련초' 계열에 속하며, 도꼬마리는 국화과 식물이다. 약리적 쓰임새도 완전히 다르다.

도꼬마리 열매에는 씨앗이 두 개 들어 있는데, 이 두 씨앗은 서로 다른 시기에 발아한다는 특징이 있다. 하나가 먼저 싹을 틔우고 실패하면, 다른 하나가 몇 년 뒤에 발아하는 방식이다. 이는 생존 가능성을 높이기 위한 식물의 전략으로 해석된다.

도꼬마리, 생으로 먹지 말고 이렇게 끓여야

도꼬마리 자료사진. / LFRabanedo-shutterstock.com
도꼬마리 자료사진. / LFRabanedo-shutterstock.com

도꼬마리는 민간에서 ‘코를 뻥 뚫어준다’는 말로 알려져 있지만, 생으로 먹을 경우에는 주의가 필요하다. 열매의 껍질과 가시 부분에 특정 독성 성분이 있기 때문에, 그대로 섭취하면 어지럼증이나 복통, 구토 같은 부작용이 나타날 수 있다.

한방에서는 이를 열을 가해 독성을 줄이는 방식으로 사용한다. 가장 일반적인 방법은 열매를 볶아서 차로 우려내는 것이다. 열을 가하면 독성 성분이 응고되어 물에 잘 녹지 않기 때문에, 우려낸 차에는 해로운 물질이 거의 남지 않는다.

볶는 방식에도 주의가 필요하다. 직접 불에 닿으면 껍질이 탈 수 있고 유효 성분이 손상될 수 있기 때문에, 일부에서는 ‘모래 볶기’ 방식을 사용한다. 고운 모래를 달군 뒤 그 안에 도꼬마리를 넣고 천천히 열을 전달하는 방식이다. 이 과정을 거치면 열매의 형태도 유지되고 독성 제거도 효과적으로 이루어진다. 열을 가한 뒤 차가운 곳에서 식히고, 하루 5g(약 30알) 정도를 2리터의 물에 넣고 끓여 마시는 것이 일반적인 복용법이다.

한약재 창이자는 폐를 맑게 하고 비강 내 점액 흐름을 원활하게 돕는 역할을 하는 것으로 알려져 있다. 이는 체내 점액 분비를 조절해 코막힘을 완화하는 데 쓰이며, 항히스타민제처럼 일시적인 차단보다는 몸의 흐름을 조절하는 방식으로 접근한다. 다만 개인 체질에 따라 알레르기 반응이 생길 수 있어, 임산부나 간 기능이 예민한 사람은 반드시 전문가 상담 후 섭취해야 한다. 아무리 오래된 약재라도 사용법을 정확히 지키는 것이 중요하다.

도꼬마리 새순, 나물로도 활용돼

도꼬마리 자료사진. / Kiran Nagare-shutterstock.com
도꼬마리 자료사진. / Kiran Nagare-shutterstock.com

도꼬마리는 약재로만 쓰이는 식물이 아니다. 꽃이 피기 전, 연한 잎과 줄기를 데쳐 나물로 먹는 민간 조리법도 존재한다. 실제 일부 농촌 지역에서는 봄철 한정 별미로 전해 내려온다. 부드러운 순만 골라 끓는 물에 데친 후, 찬물에 충분히 우려낸 뒤 간장이나 된장에 무쳐 먹는다. 또는 나박하게 썰어 국에 넣기도 한다. 독성 문제 때문에 생으로 먹는 일은 없으며, 열매가 맺히기 전까지만 채취해 반드시 데치거나 우려내는 과정을 거쳐야 한다.

조리 후에는 은은한 향과 부드러운 질감이 살아나 산채나물처럼 다양한 방식으로 활용된다. 된장국 재료나 비빔밥 속 재료로 쓰는 이들도 있다. 공식 식용 나물로 분류되지는 않았지만, 민간에서는 오랫동안 조심스럽게 식재료로 활용돼 왔다. 단, 도꼬마리는 본래 약용식물로 기록된 만큼, 나물로 먹을 때도 섭취량과 조리 방식에 각별한 주의가 필요하다. 잎이 질기거나 가시가 돋은 부위를 사용할 경우 알레르기나 복통을 유발할 수 있으므로, 연하고 부드러운 부위만 선택해 데쳐 먹어야 한다.

Copyright ⓒ 위키푸디 무단 전재 및 재배포 금지

본 콘텐츠는 뉴스픽 파트너스에서 공유된 콘텐츠입니다.

다음 내용이 궁금하다면?
광고 보고 계속 읽기
원치 않을 경우 뒤로가기를 눌러주세요

실시간 키워드

  1. -
  2. -
  3. -
  4. -
  5. -
  6. -
  7. -
  8. -
  9. -
  10. -

0000.00.00 00:00 기준

이 시각 주요뉴스

알림 문구가 한줄로 들어가는 영역입니다

신고하기

작성 아이디가 들어갑니다

내용 내용이 최대 두 줄로 노출됩니다

신고 사유를 선택하세요

이 이야기를
공유하세요

이 콘텐츠를 공유하세요.

콘텐츠 공유하고 수익 받는 방법이 궁금하다면👋>
주소가 복사되었습니다.
유튜브로 이동하여 공유해 주세요.
유튜브 활용 방법 알아보기