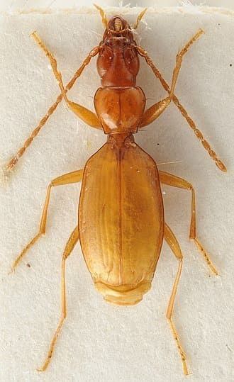
1932년 발견되고 1937년에 논문에 등재된 딱정벌레 한 종이 있음
슬로베니아의 축축한 동굴에서 발견된 시력이 퇴화된 이 벌레의 학명은
Anophthalmus hitleri
우리말로 번역하면 '히틀러의 눈 없는 벌레'
발견 및 논문 등재 시점이 총통의 요절복통 에우로파 정복 시작하기 전인지라
총통에 대한 헌정으로 이름이 붙여졌다고...
명명자는 총통한테 감사 편지도 받았음ㅋㅋ
재1명명 논의가 있기는 했는데 동물 명명법 위원회 방침상
'좆같은 이름 짓지 말아주세요 제-발' 부탁하는 경우는 있어도 이미 명명된 좆같은 이름을 바꾸라는 법은 없어서
히틀러 리신 벌레 그대로 간다고 함
여담이지만, 박물학의 시대에 있었던 많은 사례처럼 이 벌레도 발견한 사람(자연학자)과 명명자(프로 수집가)가 별개의 인물이었는데
신종이 확실하면 발견자의 이름을 딴 학명을 붙여주겠다고 약속한 뒤 통수치고 총통 이름을 붙여버림
명명자가 외스터라이히 출신이라 ㅎㅎ;;;
참으로 그 수상에 그 지지자다운 인성이라고 할 수 있겠네
군사 갤러리
Copyright ⓒ 시보드 무단 전재 및 재배포 금지
본 콘텐츠는 뉴스픽 파트너스에서 공유된 콘텐츠입니다.
